Share:
Large shopping center planned for Route 24
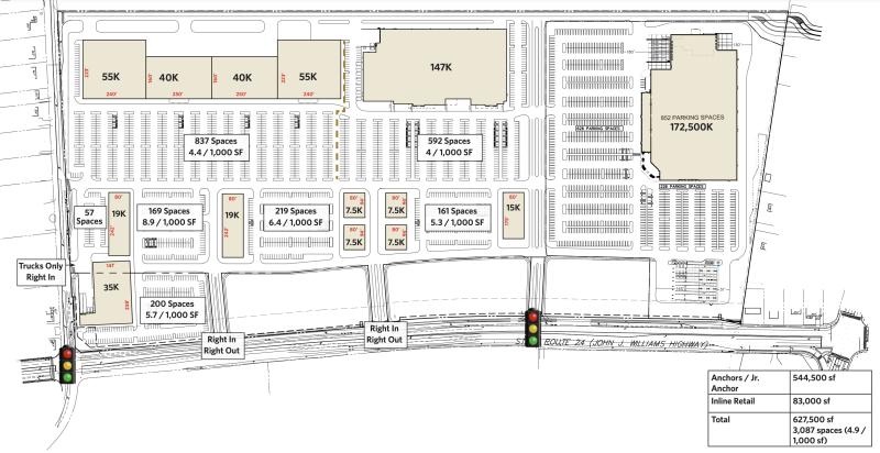
695,000-square-foot retail project goes before PLUS May 22
May 17, 2024
A large retail center near Lewes will be discussed at 1 p.m., Wednesday, May 22, before the Preliminary Land Use Service.
M.K. Associates LLC has plans to construct a 695,000-square-foot retail center on a 73.5-acre parcel along Route 24 and Mulberry Knoll Road near Beacon Middle School and Love Creek Elementary. The property, owned by J.G. Townsend Jr. of Georgetown, is currently farmland with no woods.
According to the PLUS application, at buildout the project would generate 13,135 vehicle trips on an average weekday.
A rezoning would be required from AR-1, agricultural-residential, to C-4, planned commercial district.
The project is scheduled for a review by the Office of State Planning Coordination and state agencies.

























































