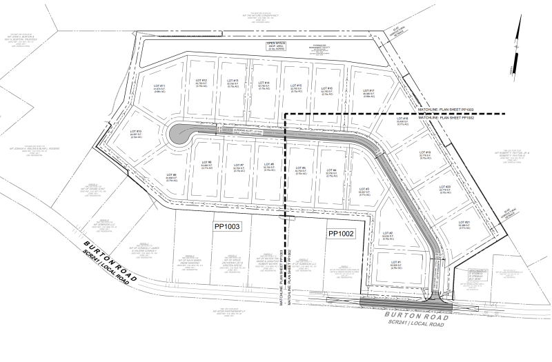
A proposed 21-lot subdivision near Milton drew complaints from neighbors concerned about stormwater runoff, traffic and even the development’s planned name.
Burton family members, who attended an Oct. 1 Sussex County Planning & Zoning Commission public hearing on the Tepache Farms project, said they were angered by an advertisement listing the proposed lots for sale.
Ray Burton, who he lived on Burton Road for 80 years, had a message for James Grant, who’s listed as owner of the 24.3-acre parcel.
“This new development, he’s got it as Burton Meadows [in advertisements],” Burton said. “I do not want my name put on that development. It’s for farming and agriculture only. So I would like to have it removed.”
“When I first heard the name, I was dumbfounded,” said his niece, Stacey Burton Fowler, a fifth-generation farmer who renovated the main family farmhouse on Burton Road with her husband, Jacob Fowler.
“Most people would like to have something named after them,” she said. “But to me, it is rude, inconsiderate and downright wrong. Burton is not just a name that the state came up with to slap on a road sign; that was earned by my grandfather, a farmer, Harris Burton, who was well known throughout Sussex County, and many people knew where he lived.”
The family has owned land on Burton Road for more than 100 years, but not the property proposed for development, she said.
Burton Fowler and her husband grow organic and non-organic produce alongside their children, her father, brother, a sister and her husband, and several nieces.
“It is a family affair,” she said. “I have lived on Burton Road my whole life. I have seen many changes to it. I come here today to oppose the subdivision of Tepache Farms for multiple reasons, many of which have already been stated, and I’m not going to overdo it.”
But Burton Fowler said there are other personal reasons she objects to the development.
“The main reason I’m opposing this subdivision is for my children," she said, noting they are the sixth generation of the Burton farming family. “My children, when we stopped and saw the sign for the public hearing notices, they were irate. They are 8 and 10 years old. They see all of the development that is going on in their community and they are saddened by the waste that is going on. They look at a field and see houses going up and they think of the livelihood that people once had on that field and the food that it once provided.”
This is the second time a proposed development for the Burton Road site has come before the county.
Sussex County Council in 2019 rejected a proposal for a 33-lot cluster subdivision on a 33.8-acre site that covered a larger area than the current plan, said the developer’s attorney David Hutt. Eight lots were later built along Burton Road on part of the original site.
The pending application is for a smaller, standard-lot subdivision with minimum three-quarter-acre lots, Hutt said.
The land is next to a nature conservancy property and a farm.
Neighbors, many of them members of the Burton family, also raised concerns about traffic on Burton Road, and planned wells and septic systems on the property.
“Considering the number of lots proposed, there’s going to be many acres of land covered with surfaces impervious to water – paved streets, paved driveways, sidewalks, house roofs, garage roofs, porches, canopy roofs, decks, patios,” said Gynt Grube.
“Flooding,” Grube added. “Is flooding in my future?”
Robert Payton III, who owns 40 acres next to the site, said there is poor drainage with standing water on both properties. He said he worries about the private wells and septic systems in the development causing problems off site.
Hutt said the site is not in a floodplain, there are no wetlands, there are vegetative buffers and runoff should not pose a problem for neighboring properties.
Among the reasons for denial in 2019 were questions about the suitability of site soils for septic systems for each lot, Hutt said. Subsequent testing and a review of the original tests have found it adequate, he said.
Ray Burton also has been a volunteer firefighter for 52 years and is concerned about a single access road to the property.
“We’ve only got one way in,” Burton said. “That is a fire trap.”
Hutt said the road is designed with a cul-de-sac to accommodate fire trucks turning around.
Commissioner G. Scott Collins said at the Oct. 1 public hearing he has concerns about the condition of the road. It is narrow with no shoulders and in rough shape. The road is frequently used by bicyclists, neighbors said.
Robert Emory grew up near the site and worries about his son getting on and off the school bus at their house between two curves on Burton Road.
“I worry about the safety of somebody coming around the corner when the bus is stopped there,” Emory said.
Kevin Conlon came to the Cape Gazette with nearly 40 years of newspaper experience since graduating from St. Bonaventure University in New York with a bachelor's degree in mass communication. He reports on Sussex County government and other assignments as needed.
His career spans working as a reporter and editor at daily newspapers in upstate New York, including The Daily Gazette in Schenectady. He comes to the Cape Gazette from the Cortland Standard, where he was an editor for more than 25 years, and in recent years also contributed as a columnist and opinion page writer. He and his staff won regional and state writing awards.
Conlon was relocating to Lewes when he came across an advertisement for a reporter job at the Cape Gazette, and the decision to pursue it paid off. His new position gives him an opportunity to stay in a career that he loves, covering local news for an independently owned newspaper.
Conlon is the father of seven children and grandfather to two young boys. In his spare time, he trains for and competes in triathlons and other races. Now settling into the Cape Region, he is searching out hilly trails and roads with wide shoulders. He is a fan of St. Bonaventure sports, especially rugby and basketball, as well as following the Mets, Steelers and Celtics.























































