90-unit townhouse project planned in Lewes
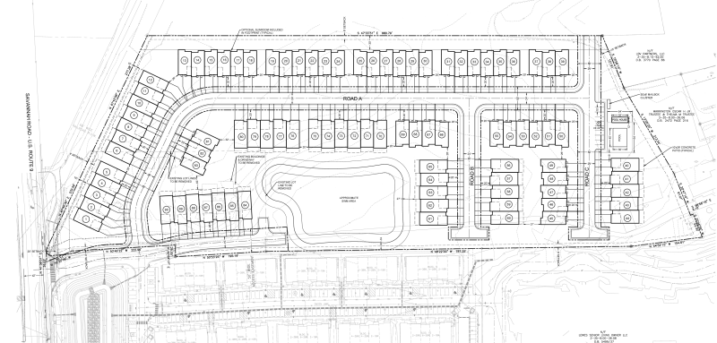
A 90-unit townhouse/duplex housing project on the Warrington property between Savannah Road and Kings Highway in Lewes adjacent to the Lewes-to-Georgetown Trail was reviewed June 26 during the Office of State Planning Coordination Preliminary Land Use Service process.
The 13-acre parcel, zoned R-5 has, was recently annexed into Lewes city limits.
The land is owned by Oscar H. Jr. and Thelma M. Warrington trustees. The project, called Overfall Preserve, would be developed by Breakwater Partners LLC.
Plans are to use an existing entrance shared with the planned Dutchman’s Harvest housing project with access to Savannah Road.
Speaking for the developer, Zach Crouch, engineer with Davis, Bowen and Friedel, said the community would have a pool and bathhouse/meeting room, sidewalks, a walking path, a connection to the Lewes-to-Georgetown Trail, utilities supplied by Lewes Board of Public Works, a 30-foot buffer along the northern section and extensive tree plantings.
He said the Delaware Department of Transportation did not request a traffic impact study, but the city has the option to require a study. The developer has been required to contribute funds to an area-wide study.
Dorothy Morris, planning office circuit rider for Sussex County, said the parcel is in a Level 1 state strategy infrastructure spending area where the state supports development.
Access to Kings Highway
During public comment, Gail Van Gilder, representing the historic Lewes byway committee, said the site sits between two of the most congested roads in the area, Savannah Road and Kings Highway. Both are designed as part of the byway.
She said there would be 1,670 vehicle trips using the shared entrance of the Warrington property and Dutchman’s Harvest.
She urged planners to consider requiring access to Kings Highway.
“If we don’t get that connection, any access will be forever closed. You have to look at this holistically,” she said.
She added that a plan for commercial development along Kings Highway adjacent to the parcel is also in the future. “This property should be connected to Kings Highway,” she said.
Van Gilder said the byway committee would like to see the trail connection and landscape plans. “We would like to work with the developer on the landscape plan at the entrance,” she said.
The PLUS comments are due to the developer on or before Thursday, July 25.





















































