Chappell Farm, revised Northstar plans on March 18 P&Z agenda
Several noteworthy Cape Region projects are on the Wednesday, March 18 agenda of the Sussex County Planning & Zoning Commission.
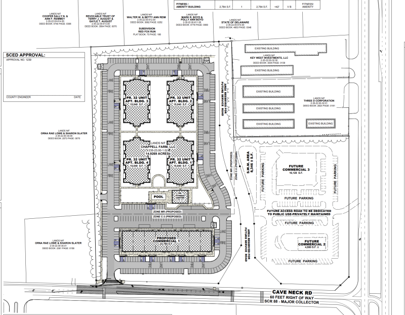
The developer of Chappell Farm at the corner of Route 1 and Cave Neck Road north of Lewes is seeking approval of the final site plan for the property. The plan shows four 32-unit apartment buildings, each 15,040 square feet, totaling 128 multifamily units. The plan also has a small fitness center and pool. In front of the residential part of the property is a 23,790-square-foot commercial building along Cave Neck Road.
The final site plan does not include two other commercial areas along Route 1. Those are shown as future commercial on the plan, with one building comprising 16,128 square feet and another with 4,580 square feet. The plan also shows a future service road splitting the property from Cave Neck Road to the boundary of the Red Fox Run residential community to the north. One set of plans shows a future roundabout on Cave Neck Road at the service-road entrance, which could be included in the grade-separated intersection planned at Route 1 and Cave Neck Road. The entrance to the site, as proposed, is farther west along Cave Neck Road.
The preliminary site plan for Chappell Farm received approval from the Sussex County Planning & Zoning Commission in March 2023. The original plan required three zoning changes, from AR-1, agricultural-residential, to MR, medium-density residential, C-3 heavy commercial, and a conditional use for multifamily housing.
The Chappell Farm property was previously the home to Smokin D’z BBQ and Shed Crazy. In preparation for preliminary work on the property, each business relocated – Smokin D’z to Hopkins Farm on Route 9 at Dairy Farm Road and Shed Crazy to the Heritage Antiques a stone’s throw away from the Chappell Farm site.
Peck Farm
Commissioners will also consider final approval for Saltwind, formerly known as Peck Farm, which calls for 128 single-family home lots on 64.10 acres along Martins Farm Road near Harbeson. The developer plans to build the community in four phases, with 34 homes in the first, 41 in the second, amenities and clubhouse in the third, and 53 homes in the fourth. The preliminary site plan was approved in February 2024.
Northstar
Commissioners will consider a revised preliminary site plan for the Northstar development along Route 9 and Beaver Dam Road west of Five Points near Lewes. The plan calls for the creation of 758 single-family home lots in a cluster subdivision on a 433-acre parcel. The matter before commissioners is whether new plans comply with conditions of approval, specifically related to removal of a connection between two roads and a resulting new configuration of lots.
Other business
Commissioners will consider the amenities plan for Leeward Chase, a duplex community on the south side of Route 9 east of Sand Hill Road near Georgetown. The community, totaling 106 multifamily units, is proposed to have a clubhouse, inground pool, outdoor patio area, fencing and a pickleball court.
Commissioners will consider the preliminary site plans for a pair of office buildings called Wescoats Professional Center East and West. The East plan seeks to reuse an existing dwelling, converting it into a law office and a three-bedroom apartment unit. The West plan seeks to reuse an existing garage, converting it into a physical therapist office.
Under old business, commissioners will receive additional information about the Rivers Edge cluster subdivision planned for Cave Neck Road south of Milton. The plan calls for 187 single-family homes on 125 acres. A public hearing was held March 4.
Nick Roth is the news editor. He has been with the Cape Gazette since 2012, previously covering town beats in Milton and Lewes. In addition to serving on the editorial board and handling page layout, Nick is responsible for the weekly Delaware History in Photographs feature and enjoys writing stories about the Cape Region’s history. Prior to the Cape Gazette, Nick worked for the Delmarva Media Group, including the Delaware Wave, Delaware Coast Press and Salisbury Daily Times. He also contributed to The News Journal. Originally from Boyertown, Pa., Nick attended Shippensburg University in central Pennsylvania, graduating in 2007 with a bachelor’s degree in journalism. He’s won several MDDC awards during his career for both writing and photography. In his free time, he enjoys golfing, going to the beach with his family and cheering for Philadelphia sports teams.




























































