Lewes Mayor and City Council is expected to vote on the final plan for Olde Town at White’s Pond during its September regular meeting.
A public hearing held Aug. 30 drew few concerns from residents except from a trio of Bay Breeze Estates neighbors who wanted council to know they do not want the new community to connect to theirs.
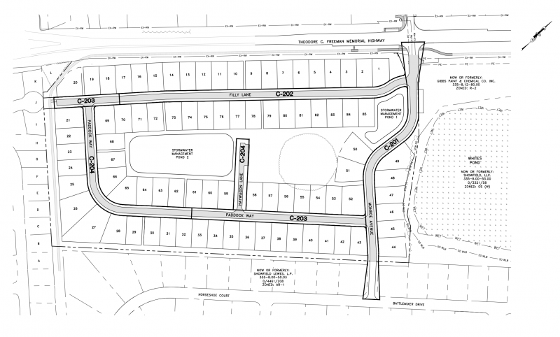
Developer Showfield LLC is proposing to build 85 single-family homes on a 37-acre lot at the corner of Freeman Highway and Monroe Avenue across from the Lewes Public Library. The project has previously been known as White’s Pond Meadow.
The land was at one time planned to be part of the adjacent Showfield community. The city's planning commission granted preliminary approval of the much-larger subdivision in fall 2009, but the project stalled. When filing with Sussex County for Showfield, the developer said the original plan was tabled by downward changes in the housing market and the time it would take to secure annexation and site-plan approval from Lewes officials.
The Delaware River & Bay Authority, which owns and maintains Freeman Highway, has agreed to permit a traffic signal at the intersection of Freeman Highway and Monroe Avenue. The intersection will also be improved to include turn lanes. The light will be installed by Delaware Department of Transportation.
The project plan includes a connection via Monroe Avenue to the Showfield community to the south. During the early stages of the White’s Pond development, Showfield residents objected to the connection. There have been concerns raised in Lewes about the Showfield homeowners’ association installing a gate to prevent vehicular flow to and from Showfield. Ring Lardner of Davis, Bowen and Friedel, the developer’s engineer, said the HOA would have to first get approval from the fire marshal, then seek permission to alter the community’s approved plan with Sussex County Planning & Zoning.
Nick Hammonds, the developer, agreed there are numerous steps required to block access via Monroe Avenue.
“We can’t take a position on how Showfield will react or what they want to do, nor do I think their board, based on few conversations, would be able to take a position at this point,” he said.
No one from the Showfield community spoke at the public hearing.
The project does not include a connection to the Bay Breeze Estates community to the west; however, a stub street has been provided if the connection is ever desired.
Bay Breeze resident Charlie Pisano said his community voted nearly unanimously against any connection to White’s Pond.
“We’re never changing our minds. Zero chance of that,” he said.
Fellow Bay Breeze resident Joe Pika said his neighbors’ fear is that Bay Breeze will become a cut-through for people trying to get around traffic.
“We don’t want to see our community becoming a shortcut for residents in our new neighboring community,” he said. “We are a community primarily of retired persons, and our principal means of exercise is walking.”
Bay Breeze does not have any sidewalks, meaning residents walk in the streets, he said, and more traffic would create an unsafe situation.
Lardner said the White’s Pond plan preserves the clump of trees in the middle of the existing farm field. A small amount of trees along the edge of the property will be removed. The plan includes 28 percent open space, he said.
As for the homes, he said, there will be no builder tie-in. Like its neighbor Showfield, future residents will purchase a lot and find their own builder.
Comments will be accepted through noon, Friday, Sept. 10. Mayor and city council may vote on final approval at its Monday, Sept. 13 regular meeting.
Nick Roth is the news editor. He has been with the Cape Gazette since 2012, previously covering town beats in Milton and Lewes. In addition to serving on the editorial board and handling page layout, Nick is responsible for the weekly Delaware History in Photographs feature and enjoys writing stories about the Cape Region’s history. Prior to the Cape Gazette, Nick worked for the Delmarva Media Group, including the Delaware Wave, Delaware Coast Press and Salisbury Daily Times. He also contributed to The News Journal. Originally from Boyertown, Pa., Nick attended Shippensburg University in central Pennsylvania, graduating in 2007 with a bachelor’s degree in journalism. He’s won several MDDC awards during his career for both writing and photography. In his free time, he enjoys golfing, going to the beach with his family and cheering for Philadelphia sports teams.






















































