Sussex County P&Z weighs pros and cons of Atlantic Fields proposal
The Sussex County Planning & Zoning Commission is concerned primarily about traffic from a proposed 695,000-square-foot commercial center near Lewes, but some see the plan as filling a local demand.
After its Oct. 1 discussion, the commission delayed a decision on the zoning change for the Atlantic Fields project to a future meeting because member Bruce Mears was not in attendance.
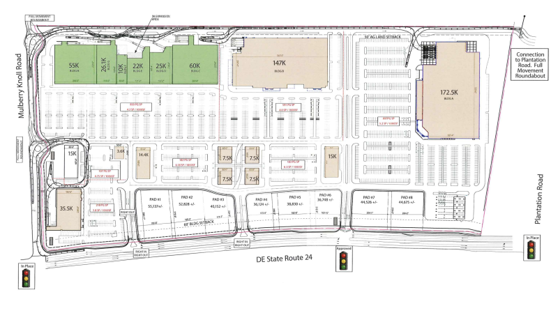
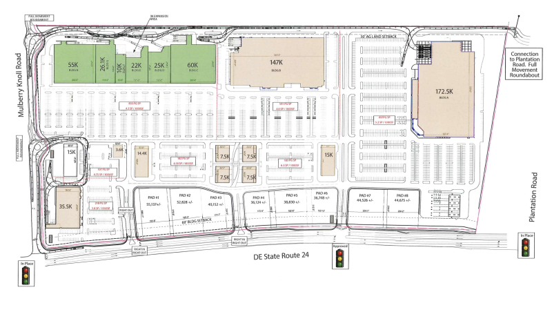
The project needs a zoning change from AR-1, agricultural-residential, to C-4, planned commercial district. The commission’s recommendation will be sent to Sussex County Council, which will make the final decision after its own public hearing.
The 73.5-acre site is on Route 24 north of Mulberry Knoll Road. Stores committed to the project are Costco, Target, Whole Foods, Nordstrom Rack, Dick’s Sporting Goods, Hobby Lobby and Ross Stores, said Ben Hoskins, president of applicant Southside Investment Partners. The tentative target for opening some of the retail center is May 2028, Hoskins said.
At the Oct. 1 meeting, commissioners focused much of their roughly 20-minute discussion on traffic concerns, just as residents had at a Sept. 17 public hearing.
There were differing opinions on the potential effects Atlantic Fields would have on traffic. While they agreed it would worsen traffic on Route 24, some said that may ease congestion elsewhere.
“The scale of the development is the primary concern that I have,” said Commissioner G. Scott Collins, who explained he worries that it will cause traffic congestion on surrounding roads.
Collins said residential and commercial developments approved or pending around Route 24 will add to congestion, even before Atlantic Fields is considered.
There is no timetable for the state to continue expanding Route 24 to Millsboro. Some commissioners said they have heard the Love Creek Bridge will not be widened to four lanes until 2045.
Commission Chair Holly Wingate agreed with Collins’ concerns, but added that Atlantic Fields could divert traffic from Route 1.
“On the flip side of it, we may be keeping some of the traffic more contained because of the residents that will be on [Route] 24 that they can then use the facilities or the new businesses that are going to be built there,” Wingate said.
“I’m not sure that offsets the traffic impacts of adding the stores that are proposed here at the scale of the development,” Collins said.
A commercial project of Atlantic Fields’ size could also draw business away from downtowns, harming local shops, he said.
“Downtown businesses in Rehoboth and Dewey struggle sometimes to be able to get the customer base in the doors that they need to sustain themselves,” he said.
“The rents are high; it’s an expensive place to be,” he added. “There are small businesses that I suspect will be disappearing over the coming years if we find ourselves in a situation where we make it increasingly difficult for people to enjoy the benefits of going to the downtown area to enjoy the restaurants, bars, etc., that are all there that many of us enjoy.”
Some residents at the Sept. 17 public hearing urged the developer to find another site.
The county already decided in the comprehensive plan that the location is appropriate for large-scale commercial development, Collins said Oct. 1.
A similar project on Route 1 in the Milton area was defeated after a significant amount of public opposition, Collins said.
Wingate pointed out that much of the undeveloped land on Route 1 north of Lewes has already been set aside for preservation. Collins said the county has discouraged development of land on the east side of Route 1.
“I don’t know that there’s anything left or much left,” Collins said. “And if it is left, it doesn’t mean it's for sale. And I don’t believe this is going to be built in Bridgeville. I don’t think this is happening in the western part of the county. There is competition from the BJ’s Wholesale Club.”
The 1,750 jobs that will be created at the Atlantic Fields stores and restaurants will cause competition for workers, said Collins, who’s disappointed the Atlantic Fields project does not include workforce housing.
“My primary concern is around safety and traffic, and I am a little concerned about the workforce availability that is going to be at a crunch from this,” he said. “Are they all going to have to come from the western part of Sussex County, which adds traffic on [Route] 24?”
Kevin Conlon came to the Cape Gazette with nearly 40 years of newspaper experience since graduating from St. Bonaventure University in New York with a bachelor's degree in mass communication. He reports on Sussex County government and other assignments as needed.
His career spans working as a reporter and editor at daily newspapers in upstate New York, including The Daily Gazette in Schenectady. He comes to the Cape Gazette from the Cortland Standard, where he was an editor for more than 25 years, and in recent years also contributed as a columnist and opinion page writer. He and his staff won regional and state writing awards.
Conlon was relocating to Lewes when he came across an advertisement for a reporter job at the Cape Gazette, and the decision to pursue it paid off. His new position gives him an opportunity to stay in a career that he loves, covering local news for an independently owned newspaper.
Conlon is the father of seven children and grandfather to two young boys. In his spare time, he trains for and competes in triathlons and other races. Now settling into the Cape Region, he is searching out hilly trails and roads with wide shoulders. He is a fan of St. Bonaventure sports, especially rugby and basketball, as well as following the Mets, Steelers and Celtics.























































